Huracanes

El huracán Melissa golpea Jamaica con vientos «catastróficos» de más de 175m/h

Melissa ya ha generado lluvias acumuladas de entre 3.8 y 7.6 metros (15 a 30 pulgadas) sobre la isla.

Por EFE Oct 28, 2025
0
Escuchar
Guardar
El huracán Melissa golpea Jamaica con vientos «catastróficos» de más de 175m/h

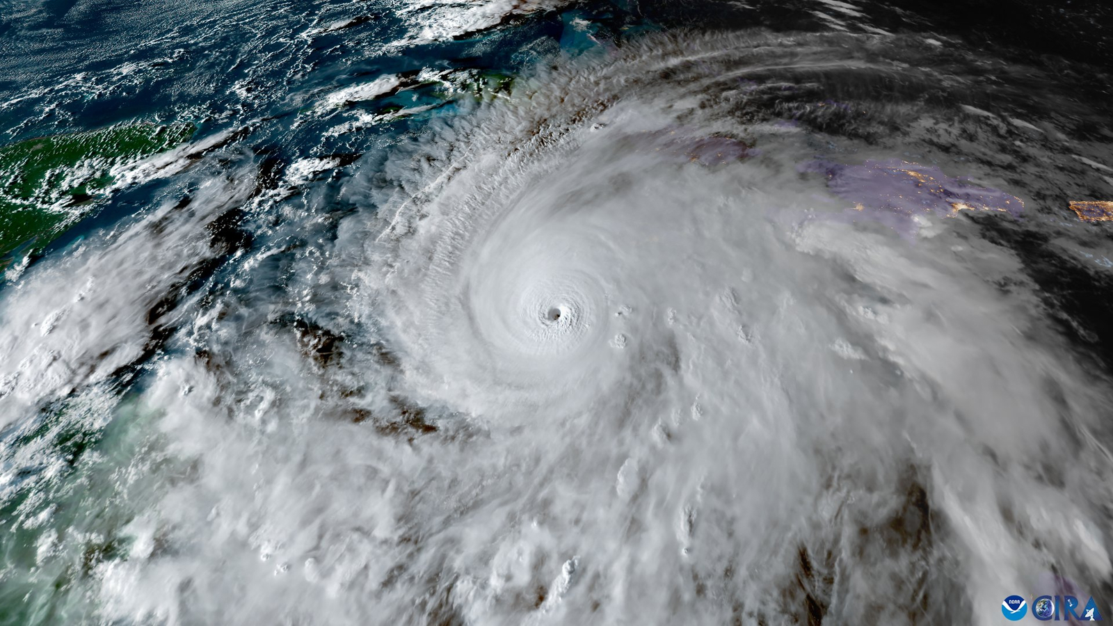
Vista del huracán Melissa, que se encuentra a unos 215 kilómetros al sureste de Kingston, la capital de Jamaica, y a 500 kilómetros al suroeste de Guantánamo, con vientos máximos sostenidos muy fuertes de 280 kilómetros por hora, según el último informe del Centro Nacional de Huracanes (NHC) de Estados Unidos a las 06:00 GMT. En su trayectoria prevista, el centro de Melissa impactará directamente sobre Jamaica hoy, con vientos catastróficos y que amenazan la vida, inundaciones y marejada; se desplazará por el sureste de Cuba el miércoles por la mañana y continuará hacia el sur y centro de Bahamas durante la jornada del miércoles.-EFE/ CIRA / SOLO USO EDITORIAL/SOLO DISPONIBLE PARA ILUSTRAR LA NOTICIA QUE ACOMPAÑA (CRÉDITO OBLIGATORIO)

Vista del huracán Melissa, que se encuentra a unos 215 kilómetros al sureste de Kingston, la capital de Jamaica. EFE/ CIRA

Miami (EFE).- Los efectos del huracán Melissa, de categoría 5, golpean ya Jamaica con vientos catastróficos y lluvias torrenciales y se prevé que tocará tierra en esta isla las «próximas horas» manteniendo su intensidad extrema, informó este martes el Centro Nacional de Huracanes (NHC) de Estados Unidos.

Melissa se aproxima a la costa occidental de Jamaica con vientos sostenidos de 280 kilómetros por hora (175 millas por hora), lluvias torrenciales y marejadas que amenazan con provocar inundaciones y daños catastróficos, detalló.

El organismo meteorológico advirtió de que Melissa tocará tierra en las próximas horas, manteniendo su intensidad extrema antes de cruzar el sureste de Cuba el miércoles y llegar a las Bahamas el jueves.

Las estaciones meteorológicas de Kingston y Montego Bay ya registran vientos sostenidos superiores a 60 kilómetros por hora (37 millas por hora) y ráfagas de hasta 93 kilómetros por hora (58 millas por hora), mientras un avión «Cazahuracanes» de la Fuerza Aérea de Estados Unidos se dirige al área para evaluar los daños y confirmar la intensidad del fenómeno.

A las 8:00 hora local de Miami (12:00 GMT), sede del NHC, el centro del ciclón se encontraba a 90 kilómetros (55 millas) al sur-sureste de Negril, en el extremo occidental de la isla, desplazándose hacia el nornoreste a 11 kilómetros por hora (7 millas por hora).

El NHC mantiene alertas de huracán para toda Jamaica, las provincias orientales de Cuba -Granma, Santiago de Cuba, Guantánamo y Holguín-, así como para las Bahamas centrales y del sureste. Haití, Las Tunas (Cuba) y las islas Turcos y Caicos permanecen bajo aviso de tormenta tropical.

Las autoridades jamaicanas instaron a la población a permanecer en refugios seguros, ante la inminencia de vientos devastadores que podrían causar «fallos estructurales totales», especialmente en zonas montañosas donde las ráfagas pueden ser hasta un 30 % más fuertes.

Melissa ha generado lluvias acumuladas de entre 3.8 y 7.6 metros (15 a 30 pulgadas) sobre la isla, con máximos de hasta 10 metros (40 pulgadas), lo que provocará inundaciones repentinas y deslizamientos de tierra generalizados, según el NHC.

En el este de Cuba se esperan acumulaciones de hasta 6.3 metros (25 pulgadas), con riesgo de deslizamientos e inundaciones «potencialmente catastróficas», mientras que en el sureste de Bahamas y en Turcos y Caicos se prevén entre 1.2 y 2.5 metros (5 a 10 pulgadas) de lluvia entre hoy y mañana.

El ciclón también provocará una marejada ciclónica de entre 2.7 metros y 4 metros (9 a 13 pies) sobre el nivel del suelo en la costa sur de Jamaica, acompañada de olas grandes y destructivas, y de entre 2.10 y 3.35 metros (7 a 11 pies) en el sureste de Cuba.

El NHC advirtió además de que el fuerte oleaje generado por Melissa afectará durante varios días a Haití, Jamaica, Cuba, las Islas Caimán, las Bahamas, Turcos y Caicos y Bermudas, generando condiciones peligrosas en el mar y corrientes de resaca.

Temas
  • huracan
  • Jamaica

Comentarios {{ comments_count }}

Añadir comentario
{{ commentSize }}/500
{{ error }}
{{ article.author }}
Premium
{{ article.postedAt }}
Mostrar {{ article.child_count }} respuestas
{{ article.like_count }}
{{ commentSize }}/500
{{ error }}
{{ child.author }}
Premium
{{ child.postedAt }}

{{ child.content }}

{{ child.like_count }}
{{ error }}

Opiniones

Opiniones Ene 1, 2026

La salud se construye todos los días

0
Opiniones Dic 26, 2025

¡Hablar salva vidas!

0

Opinión y Comentarios

Lic Alexis Quiñones

Abogado

Adriana Sánchez

Derecho y deporte

Dra. Bárbara D. Barros

Salud Mental & Menopausia

Brian Díaz

Presidente & Fundador Pacifico Group

José Julio Aparicio

Política y derecho

Carlos Johnny Méndez Núñez

Presidente Cámara de Representantes

Dennis Dávila

Cine

Lic Eddie López Serrano

Abogado y analista político

González Pons MD

Médico radiólogo

Heriberto N. Saurí

Salud y emergencias

Lic Jaime Sanabria

Profesor de derecho

Kiara Genera

Energía Renovable

Laureano Giraldez MD

Otorrinolaringología y Cirugía de Cabeza y Cuello

Moises Cortés

Consultor Financiero

Dra. Natalie Pérez Luna

Orlando Alomá

Gerente de Proyectos en un Startup

Oscar J. Serrano

Periodista Editor

Tomás Ramírez

Ramón L. Rosario Cortés

Política y derecho

Víctor García San Inocencio

Política y justicia

Luisito Vigoreaux

Columnista Cultural y de Entretenimiento

William Maldonado

Economista y Estratega Financiero

Bienvenido a Noticel

Empieza a crear una cuenta

{{ errors.firstname }}
{{ errors.lastname }}
{{ errors.email }}
{{ errors.password }}

Debe tener al menos 8 caracteres de longitud.

Debe contener números y letras.

No puede comenzar ni terminar con un espacio
{{ errors.password_confirm }}
¿Ya tienes una cuenta? Acceso
Haz clic en "Comenzar" para aceptar los Términos de servicio de Noticel y reconocer que la Política de privacidad de Noticel se aplica a ti.

Verificación de cuenta

Te enviaremos un correo electrónico con un enlace para verificar tu cuenta. Si no lo ves, revisa tu carpeta de correo no deseado y confirma que tienes una cuenta vinculada a ese correo.

Has olvidado tu contraseña

Introduce el correo electrónico de tu cuenta y te enviaremos un enlace para restablecer la contraseña.

{{ errors.email }}

Has olvidado tu contraseña

Le hemos enviado un correo electrónico a {{ email }} con un enlace para restablecer su contraseña. Si no lo ve, revise su carpeta de correo no deseado y confírmeme que tiene una cuenta vinculada a ese correo electrónico.

Personaliza tu feed

Verifica que tu dirección de correo electrónico sea correcta. Una vez completado el cambio, utiliza este correo electrónico para iniciar sesión y administrar tu perfil.

Elige tus temas

  • Deportes
  • Economía
  • El Tiempo
  • Entretenimiento
  • Más
  • Noticias
  • Opiniones
  • Última Hora
  • Vida y Bienestar
  • Videos y Fotos
Perfil actualizado.